贊助協會救治街貓帳戶--
外幣贊助匯款指示書>>
(北市社會字第3300號)
玉山銀行 中崙分行(代碼808)
0912940006763
戶名:社團法人臺北市支持流浪貓絕育計劃協會
收據可抵稅請將地址mail至cashier@tnrtw.org0912940006763
戶名:社團法人臺北市支持流浪貓絕育計劃協會
外幣贊助匯款指示書>>
(北市社會字第3300號)
已完成醫助款案例 |
|
- 編號: 1096
-
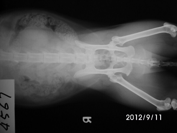
主題: 桂田街 眼睛感染 泌尿道有問題的橘公貓 申請者姓名: 劉雅雲 花色: 申請日期: 2012-09-18 22:30:52 申請者部落格: 申請者臉書網址: 所在縣市/合作醫院: 高雄市/樂生動物醫院 治療費用: 5700元 需求人數: 13人 已結案 (2013-06-27 13:38:03) 報名人員: 阮驛琇(已付款)、姚怡君(已付款)、瑄瑄(已付款)、Leah(已付款)、Pei Jing Gao(已付款)、李孟儒(已付款)、王踢娜(已付款)、Rong Chen(已付款)、Rong Chen、Ginny Cat(已付款)、dowdot(已付款)、KiKi(已付款)、Wen Lin(已付款)、Wen Lin(已付款)、 候補人員: 動物病情說明: 桂田街已經結過紮的橘白公貓, 三年前結紮後跟他的夥伴們在這邊定點餵養, 日前發現眼睛感染越來越嚴重, 又一直有蹲著尿尿的動作, 好像尿不太出來, 很常看到他在蹲, 懷疑有尿道結石或感染的問題. 醫生幫他驗血看有無感染現象, 還有X光照看看有沒有結石, 住院打點滴促進排尿並觀察. 檢查時發現有口腔問題並幫他拔牙與洗牙, 還好沒有尿道結石的問題, 目前治療後眼睛和排尿的狀況已改善, 目前放回原地, 持續餵藥一週和滴眼藥水.
明細如下:
9/11 - 9/17 注院治療 7天 x 300 = 2100
血檢費用 1500
X光照 400 * 2 =800
麻醉洗牙及拔犬齒費用共 1150
眼藥水 150
Total: 5700











