贊助協會救治街貓帳戶--
外幣贊助匯款指示書>>
(北市社會字第3300號)
玉山銀行 中崙分行(代碼808)
0912940006763
戶名:社團法人臺北市支持流浪貓絕育計劃協會
收據可抵稅請將地址mail至cashier@tnrtw.org0912940006763
戶名:社團法人臺北市支持流浪貓絕育計劃協會
外幣贊助匯款指示書>>
(北市社會字第3300號)
已完成醫助款案例 |
|
- 編號: 1756
-
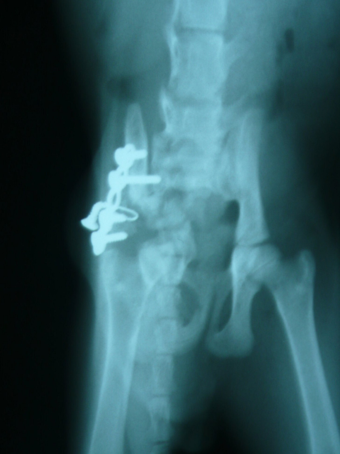
主題: 大龍街骨盤骨折橘白貓第二次醫療 申請者姓名: Akimasa Tu 花色: 申請日期: 2013-01-10 01:15:09 申請者部落格: 申請者臉書網址: https://www.facebook.com/akimasa.tu 所在縣市/合作醫院: 台北市/長沁動物醫院 治療費用: 10000元 需求人數: 22人 已結案 (2013-02-23 11:57:47) 報名人員: Julling Hu(已付款)、speciallucky(已付款)、Mau Lin(已付款)、阿麥麥(已付款)、李安妮(已付款)、Lichen Cheng(已付款)、J2(已付款)、Diamond Wu(已付款)、Monica Hu(已付款)、孫小晴(已付款)、Joyce Shih(已付款)、Lynn Lin(已付款)、Ray Lei(已付款)、Chinling Ho(已付款)、Shirley(已付款)、Shirley(已付款)、fenny(已付款)、yun(已付款)、yun(已付款)、yun(已付款)、yun(已付款)、yun(已付款)、 候補人員: 然後勒、 動物病情說明: 這隻是在大同區大龍街被救援的小貓,疑似被狗咬傷的小貓,之前因為
骨盤骨折,無法排便,而進行手術,術後先帶回照顧,原本食欲及活動
力都很正常,但一段時間後,看他常常好貓砂,但又沒大便,幾天後不
吃東西,帶回原手術醫院檢查,發現他肚子又是大便,而且手術固定的
骨板,螺絲鬆脫了!
可能是腸子蠕動不良,或鬆脫螺絲導致無法排便,因骨盤已固定,所以
院方決定將鬆脫螺絲及骨板再次開刀移除,術後活動力及食欲又恢復正
常,目前又先帶回照顧,因同時間又另一隻小貓得了貓瘟,為求保險起
見,也一並幫他注射了第一劑的三合一疫苗。
骨盤腔骨折無法排便的貓,後續照顧及送養都有些困難,這小貓也不可
能再野放,希望能幫他找到好的認養人。



