贊助協會救治街貓帳戶--
外幣贊助匯款指示書>>
(北市社會字第3300號)
玉山銀行 中崙分行(代碼808)
0912940006763
戶名:社團法人臺北市支持流浪貓絕育計劃協會
收據可抵稅請將地址mail至cashier@tnrtw.org0912940006763
戶名:社團法人臺北市支持流浪貓絕育計劃協會
外幣贊助匯款指示書>>
(北市社會字第3300號)
已完成醫助款案例 |
|
- 編號: 24
-
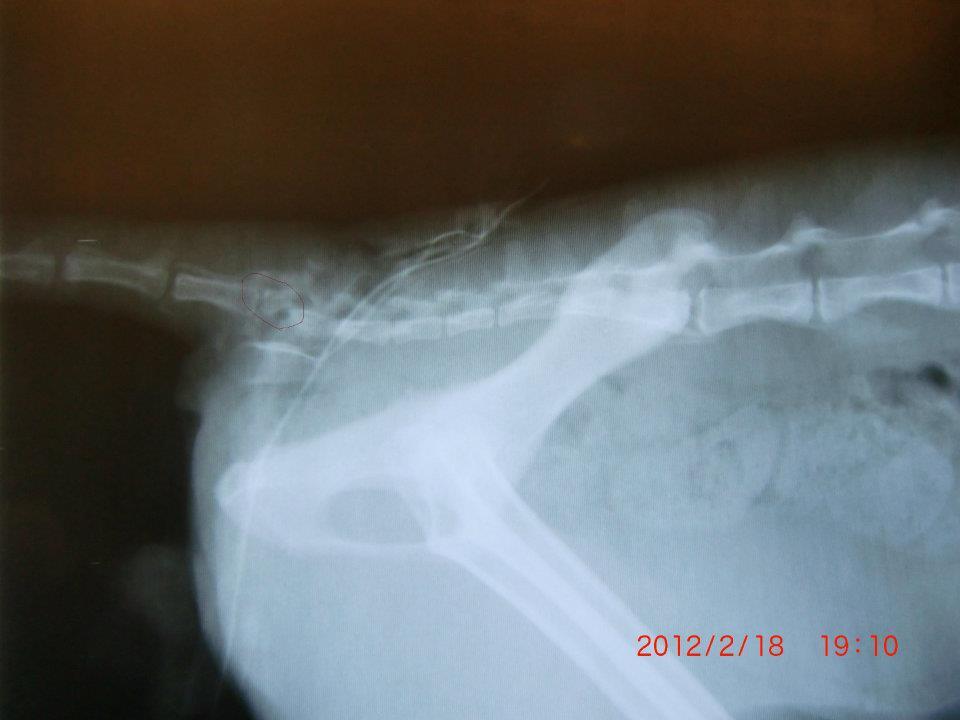
主題: 中壢尾椎傷貓 申請者姓名: Vivi Sung 花色: 申請日期: 2012-02-18 21:35:03 申請者部落格: 申請者臉書網址: http://www.facebook.com/media/set/?set=a.343873802302736.78011.100000403568717&type=1 所在縣市/合作醫院: 桃園縣/思邁爾動物醫院 治療費用: 9000元 需求人數: 9人 已結案 (2012-05-29 19:58:11) 報名人員: Lexie Liu(已付款)、Meg Chen(已付款)、Green D Chen(已付款)、Cay Way(已付款)、Kirsty Lin(已付款)、miohsieh(已付款)、鄭小V(已付款)、余小易(已付款)、Fiona WU、 候補人員: su(已付款)、Shirley、 動物病情說明: 由中壢游先生救援..
第五結尾椎受傷嚴重.其中致命的傷來自一個看似受傷的小洞,卻已經咬到尾椎!傷口內全是膿.將預計一周清創,結紮等醫療
醫療明細,將盡快上傳









