贊助協會救治街貓帳戶--
外幣贊助匯款指示書>>
(北市社會字第3300號)
玉山銀行 中崙分行(代碼808)
0912940006763
戶名:社團法人臺北市支持流浪貓絕育計劃協會
收據可抵稅請將地址mail至cashier@tnrtw.org0912940006763
戶名:社團法人臺北市支持流浪貓絕育計劃協會
外幣贊助匯款指示書>>
(北市社會字第3300號)
已完成醫助款案例 |
|
- 編號: 242
-
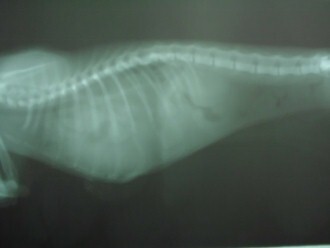
主題: 橫隔破裂 造成呼吸異常的貓 修捕橫隔 申請者姓名: 劉雅雲 花色: 申請日期: 2012-04-29 10:58:35 申請者部落格: 申請者臉書網址: 所在縣市/合作醫院: 高雄市/樂生動物醫院 治療費用: 4400元 需求人數: 5人 已結案 (2013-06-27 13:18:45) 報名人員: ShowRong Lin(已付款)、Ku-ai Gina Chen(已付款)、蕭泰咪(已付款)、Paula Wu(已付款)、Elsa Tu(已付款)、 候補人員: julie lee、小舟、 動物病情說明: 這是在高雄建國路的享溫馨KTV停車場的貓咪,因為她不知為何一直叫, 觀察後呼吸有點怪怪的, 也不吃, 醫生一看貓也覺得貓的呼吸有問題, 先輕微鎮定後做血檢 和照X光.
發現貓的橫隔破一個洞, 有可能是車撞到造成, 有些腹部的器官跑到胸腔, 肺只有一邊有作用, 消化系統也有影響, 所以不理她的話會慢慢死亡, 因為橫格修補須麻醉對這隻瘦弱的貓咪有危險, 而且貓的橫隔破裂已經不知多久, 但不修補她會沒命, 所以經過一番評估, 醫生進行手術搶救希望可以修補成功,貓咪最後沒撐過. 已經當天使去了..
血檢 1000
X光2片 400*2=800
住院2天 300*2=600
氣體麻醉 1500
火化 500







