贊助協會救治街貓帳戶--
外幣贊助匯款指示書>>
(北市社會字第3300號)
玉山銀行 中崙分行(代碼808)
0912940006763
戶名:社團法人臺北市支持流浪貓絕育計劃協會
收據可抵稅請將地址mail至cashier@tnrtw.org0912940006763
戶名:社團法人臺北市支持流浪貓絕育計劃協會
外幣贊助匯款指示書>>
(北市社會字第3300號)
已完成醫助款案例 |
|
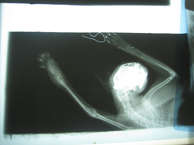
- 編號: 2622
-
主題: 左腕關節腫脹 有50元硬幣大的外傷 申請者姓名: 張慧敏 花色: 申請日期: 2013-06-20 16:27:53 申請者部落格: 申請者臉書網址: 所在縣市/合作醫院: 台北市/詠欣動物醫院 治療費用: 5700元 需求人數: 13人 已結案 (2013-08-06 14:28:47) 報名人員: davidlai(已付款)、Lynn、Liwing Lin(已付款)、Josephine(已付款)、Josephine(已付款)、Josephine(已付款)、Stephy An(已付款)、惠惠(已付款)、蔡餅乾(已付款)、Linda x4(已付款)、喵喵(已付款)、 候補人員: 黃安妮、RuRu Liu、 動物病情說明: 捕捉結紮發現左腕關節腫脹、有50元硬幣大的外傷,現已經復原R回,醫療費用還請各位幫忙



