贊助協會救治街貓帳戶--
外幣贊助匯款指示書>>
(北市社會字第3300號)
玉山銀行 中崙分行(代碼808)
0912940006763
戶名:社團法人臺北市支持流浪貓絕育計劃協會
收據可抵稅請將地址mail至cashier@tnrtw.org0912940006763
戶名:社團法人臺北市支持流浪貓絕育計劃協會
外幣贊助匯款指示書>>
(北市社會字第3300號)
已完成醫助款案例 |
|
- 編號: 2960
-
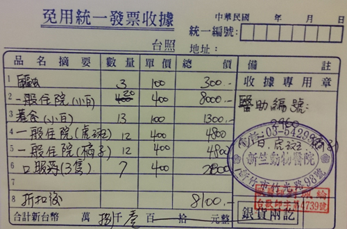
主題: 南寮收容所安樂日搶救之鼻器管炎貓-2 申請者姓名: Star Wang 花色: 申請日期: 2013-09-20 11:23:46 申請者部落格: 申請者臉書網址: https://www.facebook.com/star.wang2 所在縣市/合作醫院: 新竹市/新竺動物醫院 治療費用: 8100元 需求人數: 9人 已結案 (2014-01-10 18:01:10) 報名人員: 可愛茹(已付款)、Lewis Wong(已付款)、Emily Chou(已付款)、游妃妃 x2(已付款)、Wen x2(已付款)、吳雨琦(已付款)、Amanda Lin(已付款)、 候補人員: 動物病情說明: 小白、小橘跟虎斑貓也是8月29日自南寮收容所c區帶出的孩子,
三位小朋友有鼻氣管炎狀況,需要進行醫療。
【小白】
鼻氣管炎狀況。
8/29接出當日不願意自己進食,
需要灌食。
灌食配合著吃口服藥,
小白終於在9/11願意自己進食。
●入院:8/29。
●出院:9/17。
●醫療項目:灌食、口服藥。
●後續說明:小白是親人的貓咪,很愛跟人說話,也很愛討摸摸,附圖3是小白出院後的照片,目前在增肥中,將安排送養事宜。
【虎斑】
這個孩子也是鼻氣管炎狀況,
接出當日觀察會自己吃喝,
因此藥物加入食物中給虎斑孩子吃。
貓咪很瘦,
醫生建議口服藥吃到兩週時間,
並於這兩週時間給營養食品補充,
稍微養胖後再進行結紮手術。
●入院:8/29。
●出院:9/9。
●醫療項目:口服藥。
●後續說明:9/10進行結紮手術,至9/14為術後修養期,五天時間為助紮方案,未於列入醫助。因為此貓咪非常兇,因此於9/14當天R至愛媽餵養區域。
【小橘】
小橘是個已經超過六個月齡的女生,
8/29接出當日為鼻氣管炎狀況,
投藥第二日有明顯改善,
投藥滿一週還有輕微鼻塞狀況,
因為年紀較小,
醫生建議投藥兩週並且讓小橘吃好些後再進行結紮手術。
●入院:8/29。
●出院:9/9。
●醫療項目:口服藥。
●後續說明:9/10進行結紮手術,至9/14為術後修養期,五天時間為助紮方案,未於列入醫助。小橘雖然年紀小,但卻是伸手過去會讓他緊張的彈跳的個性。因此於9/14當天R至愛媽餵養區域。動物近況說明: 小白於9/17出院後帶回家隔離養胖,
待增肥後將施打疫苗以及開放送養。











