贊助協會救治街貓帳戶--
外幣贊助匯款指示書>>
(北市社會字第3300號)
玉山銀行 中崙分行(代碼808)
0912940006763
戶名:社團法人臺北市支持流浪貓絕育計劃協會
收據可抵稅請將地址mail至cashier@tnrtw.org0912940006763
戶名:社團法人臺北市支持流浪貓絕育計劃協會
外幣贊助匯款指示書>>
(北市社會字第3300號)
已完成醫助款案例 |
|
- 編號: 298
-
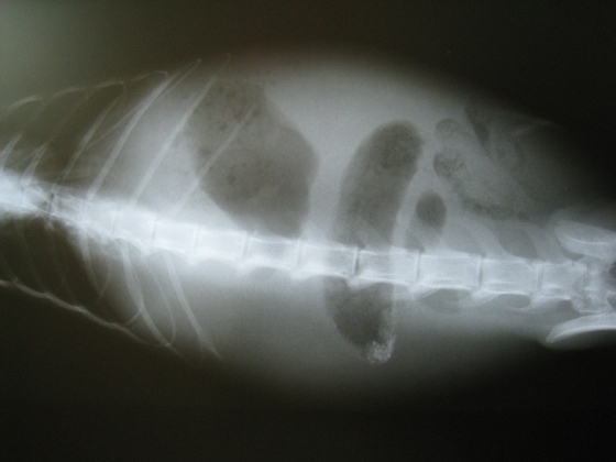
主題: 與生命在拔河的小橘貓 申請者姓名: Rita 花色: 申請日期: 2012-05-12 15:21:45 申請者部落格: 申請者臉書網址: 所在縣市/合作醫院: 新北市/銘德動物醫院 治療費用: 6670元 需求人數: 9人 已結案 (2013-02-23 14:57:28) 報名人員: 張角倫(已付款)、Hikaru(已付款)、yymeow(已付款)、Hsin Yen Cheng、王興賢(已付款)、sally(已付款)、sally(已付款)、sally(已付款)、Jane Shih(已付款)、ELaine Lee(已付款)、 候補人員: Poe Phu、小舟、 動物病情說明: 這隻小橘貓是在新莊幸福路路邊的店家門口發現的!
在店家門口喵喵叫,而且外觀很明顯的有皮膚病,與消瘦。
帶至醫院檢查後,發現有腹水,發燒,皮膚為疥癬蟲感染,嚴重貧血
看起來狀況很不好,但是小橘貓卻是一直喵喵叫吵著要吃,
一整罐的罐頭也都吃的乾乾淨淨,
這樣的情況看起來很令人心疼,因為其實是小橘貓硬撐出來了,看了覺得很不忍
檢查完初步懷疑為貓的腹膜炎感染與發病,
但由於貓的食慾似乎很好,食慾不錯,先留院觀察∼
雖然初步懷疑極有可能為FIP的發病,但看著貓咪不放棄的拼命吃,
真的也很不忍心的放棄他,也先做PCR的檢查,若是陽性的話,再替他做最好的安排。
第二天精神稍差,不過食慾依舊不錯。
但感覺的出,應該餓很久飢餓感使然,所以在狀況很糟的時候,還願意進食!
出現拉肚子的現象,與尿液顏色過黃,主要是因為紅血球大量被破壞的關係!
第三天小橘就撐不住了,癱軟接近到昏迷的程度,
緊急的上了點滴輸液,以便緊急治療與照顧。
情況變的很不樂觀,這時候,小橘還是會吃,但需要拿到他的嘴巴前面,但明顯的食量變的很差了!一整天下來只有吃半罐的貓罐頭∼
第四天的時候,小橘已經沒有意識了,也在晚上夜深人靜時悄悄的離開。
很慶幸的是,他沒有受太多的苦,也沒有不明不白的走掉,
也沒有在街角死亡,在他離開的時候是安詳沒有痛苦的。
在小橘走掉的當天晚上PCR的口頭報告也出來,確定是陽性,感染了腹膜炎。











