贊助協會救治街貓帳戶--
外幣贊助匯款指示書>>
(北市社會字第3300號)
玉山銀行 中崙分行(代碼808)
0912940006763
戶名:社團法人臺北市支持流浪貓絕育計劃協會
收據可抵稅請將地址mail至cashier@tnrtw.org0912940006763
戶名:社團法人臺北市支持流浪貓絕育計劃協會
外幣贊助匯款指示書>>
(北市社會字第3300號)
已完成醫助款案例 |
|
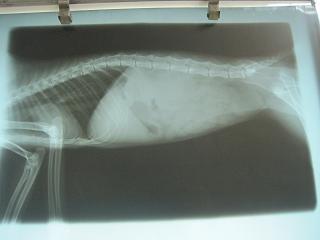
- 編號: 435
-
主題: 嚴重肝病導致抽筋的貓 申請者姓名: 敏大哥 花色: 申請日期: 2012-06-18 23:25:39 申請者部落格: 申請者臉書網址: 所在縣市/合作醫院: 台北市/詠欣動物醫院 治療費用: 1900元 需求人數: 5人 已結案 (2012-12-01 20:05:42) 報名人員: 潘逸群(已付款)、WeiLin Chen(已付款)、Huang Emma(已付款)、楊宸(已付款)、吳柏毅(已付款)、 候補人員: 小舟、 動物病情說明: 這是幫張媽媽po的.貓咪這1-2天精神不濟的窩在牆角.又忽然神情異常的狂跳.送院檢查發現有嚴重肝病導致抽筋 和球蟲引起的腸子發炎.經過一天緊急治療,仍舊不治..



