贊助協會救治街貓帳戶--
外幣贊助匯款指示書>>
(北市社會字第3300號)
玉山銀行 中崙分行(代碼808)
0912940006763
戶名:社團法人臺北市支持流浪貓絕育計劃協會
收據可抵稅請將地址mail至cashier@tnrtw.org0912940006763
戶名:社團法人臺北市支持流浪貓絕育計劃協會
外幣贊助匯款指示書>>
(北市社會字第3300號)
已完成醫助款案例 |
|
- 編號: 5459
-
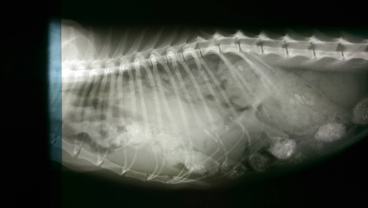
主題: 胸腔赫尼亞 申請者姓名: 陳小玲 花色: 申請日期: 2015-01-29 14:19:57 申請者部落格: 申請者臉書網址: 所在縣市/合作醫院: 嘉義市/你我牠動物醫院 治療費用: 36000元 需求人數: 39人 已結案 (2015-02-24 12:31:12) 報名人員: Portia Chen(已付款)、Ryoka Oh(已付款)、Wheat Chiang(已付款)、Ping Hussard(已付款)、Ray0322(已付款)、AmbeR Hsu(已付款)、Belinda Wang(已付款)、Chen Chris(已付款)、愛麗絲(已付款)、Bubu Wang(已付款)、Apple Chou(已付款)、Grace Lin(已付款)、mitdo43(已付款)、佩(已付款)、lavinia x3(已付款)、Josie Josie x2(已付款)、海郁(已付款)、高賽(已付款)、Tiffany Shen(已付款)、蘇小吉(已付款)、Miao Lin(已付款)、肉&菜(已付款)、dcelife(已付款)、郭瑞希、毛絨絨(已付款)、戴戴(已付款)、Cathy(已付款)、zoelo(已付款)、綺(已付款)、Yen-Yuan Wang(已付款)、May Chuang(已付款)、Candace Shiue x2(已付款)、Lewis Wong x3(已付款)、Misu Sweet(已付款)、 候補人員: 動物病情說明: 橘橘是我餵養二年半的貓,一直在我的餵養區生活,最近發現牠一直喘氣,每次吃食物時總是呼吸急促,造成腹部快速收縮,因為這二星期天氣很冷,我以為牠感冒了,包了二次藥回來投藥,1/6一次,1/14一次,但好像沒改善,沒想到今天看到牠竟然一直喘,我回家拿了提籠和誘捕籠,先放了提籠後,牠竟然乖乖的走進提籠了,我想牠一定生病了,趕緊送去醫院。
醫生說牠的呼吸不正常,應該被撞到了,而且有一段時間了,要照X光看看,結果一照完竟然是,肝,腸跑到胸腔去了,才會造成呼吸窘迫,難怪牠每次吃飯都一邊吃一邊呼吸困難,所以要趕緊開刀,我擔心牠的肝腸不知道會不會壞死,希望能趕快得到協會的幫助。動物近況說明: 1/21抓到橘橘,檢查出來是胸腔赫尼亞,1/22馬上開刀,因為整個腹腔的器官都擠到胸腔去了。
1/22開刀完狀況還不錯,會吃一些些的食物,我告訴你,既然你勇敢的要活下去,阿姨就不會再讓你去流浪,我決定給你一個家,醫生說你也不適合再流浪了,只要你努力活下去,你就有家了。
我每天去看你,你吃的很少,我就開始擔心了。
1/25醫院休息,不能去看你,醫生快被我煩死了,一直到醫院看你再傳照片回報給我,我才放心。
1/26一早去看你,你的狀況已經不是很理想,醫生說你的血紅素一直往下掉,所以要找可以捐血的貓,因為來的急又快,我馬上找了朋友和我的貓去配對,其中一隻配對成功就趕快輸血,晚上我還是一直擔心著,1/27凌晨1:30醫生說你的血色有起來了,我才去睡,整晚的翻來覆去的等待天亮,醫院一開門就衝去看你,但在病床上沒看見你,我知道你走了,阿姨真是後悔沒有早點抓你,不然你也不會走了,希望你當快樂的小天使,別再流浪了,我的浪孩,











