贊助協會救治街貓帳戶--
外幣贊助匯款指示書>>
(北市社會字第3300號)
玉山銀行 中崙分行(代碼808)
0912940006763
戶名:社團法人臺北市支持流浪貓絕育計劃協會
收據可抵稅請將地址mail至cashier@tnrtw.org0912940006763
戶名:社團法人臺北市支持流浪貓絕育計劃協會
外幣贊助匯款指示書>>
(北市社會字第3300號)
已完成醫助款案例 |
|
- 編號: 5793
-
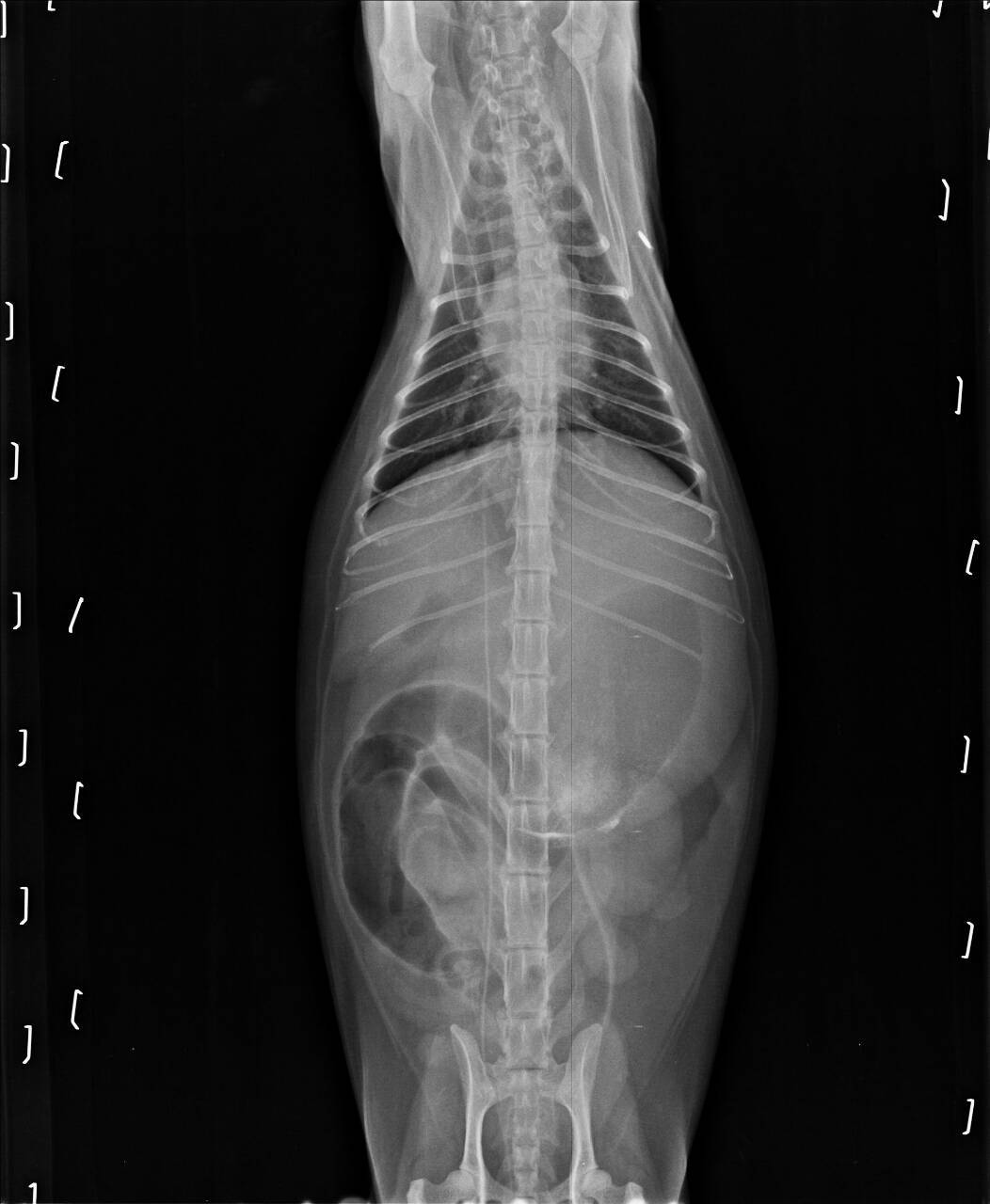
主題: 敦化北路路倒貓 申請者姓名: 王顥潔 花色: 申請日期: 2015-04-09 22:12:20 申請者部落格: 申請者臉書網址: 所在縣市/合作醫院: 台北市/極光動物醫院 治療費用: 30654元 需求人數: 33人 已結案 (2021-09-03 23:51:28) 報名人員: Jun Ish x2(已付款)、恰吉吉 x2(已付款)、Patrick x10(已付款)、Belle(已付款)、Bella Lin(已付款)、Norman Wu(已付款)、林嘉南(已付款)、amency(已付款)、高賽、咪咪靜(已付款)、kawolu(已付款)、戴戴(已付款)、Leo Chung x10(已付款)、JOJO(已付款)、 候補人員: joyce、 動物病情說明: 於3/22半夜在台北市松山區敦化北路155巷發現病懨懨路倒貓咪咪,有剪耳,是TNR的貓咪。先安置家裡,隔天送仁心檢察驗血後,發現血糖很高,有黃疸,腎衰竭,以及急性胰炎,白血球五萬以上。
在仁心動物醫院住院及施打藥物搶救治療,因為醫療費用龐大,無以為繼,經與tnr協會通報,感謝協會協助轉往極光醫療。
後續醫療費用,懇請協會准予申請醫助,感恩。動物近況說明: 04/03/22晚上撿到。
104/03/23 送仁心動物醫院。
體溫36.6(晚上回溫到38度)
白血球五萬多
高血糖
FPL陽性
貓愛滋、白血病陰性
Bun大於130
肝指數 8
體重3.8公斤
3/24蒙協會幫助,轉院極光動物醫院,因有脂肪肝,插鼻胃管餵食。
104/03/24
白血球48,000
肝指數5.5
胰臟炎,黃疸。
插鼻胃管,無法站立。
看到我去探視她,因插鼻胃管而叫不出聲音,很是心疼……我輕輕撫摸咪咪,她想起身,但身體狀況讓她無法站立。
104/03/25
白血球43,000
肝指數7.6
無法站立,當晚施打血漿。
數值有下降一些,但血壓仍偏低,但這兩天的觀察算是不樂觀中的穩定。
104/03/26
醫院通知咪咪需要血漿
早上七點一度休克
白血球飆6萬
肝指數9.6
血壓50
中午12點時,咪咪吐了
沒多久即往生……
實在感到非常遺憾跟難過,咪咪還是無法撐過這個難關,感謝協會幫助咪咪的醫療費用,更謝謝捐款人您的大愛。









