贊助協會救治街貓帳戶--
外幣贊助匯款指示書>>
(北市社會字第3300號)
玉山銀行 中崙分行(代碼808)
0912940006763
戶名:社團法人臺北市支持流浪貓絕育計劃協會
收據可抵稅請將地址mail至cashier@tnrtw.org0912940006763
戶名:社團法人臺北市支持流浪貓絕育計劃協會
外幣贊助匯款指示書>>
(北市社會字第3300號)
已完成醫助款案例 |
|
- 編號: 6618
-
主題: 下顎斷裂車禍貓 申請者姓名: 洪韻淩 花色: 申請日期: 2015-12-08 00:59:35 申請者部落格: 申請者臉書網址: 所在縣市/合作醫院: 新北市/五信動物醫院 治療費用: 7400元 需求人數: 18人 已結案 (2023-01-18 23:37:55) 報名人員: 李佳蓉(已付款)、Vicky Chang Shyr x4(已付款)、Natalie Liao(已付款)、chiann(已付款)、蔡 ゆか(已付款)、小兔子(已付款)、盧延毫(已付款)、Bea Utiful Wang x4(已付款)、HI HI Little(已付款)、Yuhui Lee(已付款)、張雅筑 x2(已付款)、 候補人員: 動物病情說明: 門市人員打烊時突然闖入,滴著血躲進商品櫃內,窩在角落看起來非常虛弱。
由同事幫忙送醫後,醫生表示外傷主要為下顎斷裂無法進食,無骨折,頭部進入空氣,有吐血,身體激素因求生反應,部分指數標高或偏低,疑似為車禍所致。
因是野生流浪貓,尚無法確認貓咪車禍前是否就指數異常,還需要先住院吊點滴觀察三日。三日後會再通知適不適合做手術。
血檢及X光之後會再補上。動物近況說明: 12/3(四)
下午去探望,醫生說今天早上一樣有吐血,打止痛跟止血後狀況有好些。
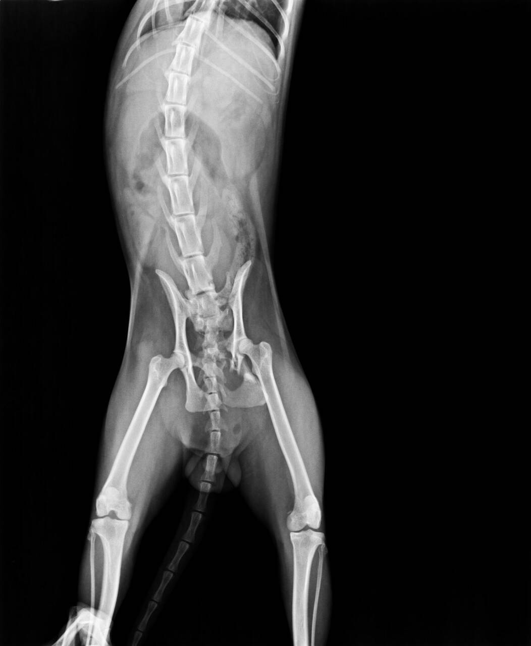
女護士去摸摸他發現都趴著沒有站起來,所以重新照X光檢查下半身,
發現骨盆也有受傷,在支撐點破裂(脫臼)了,整個上移了一個脊髓,所以雙腳雖然有反應但是無法撐起整個身體,這部份也需要手術治療。
中分意識很清楚,看到我們有輕聲喵喵叫,也有求生的意志,
希望大家能一起幫助努力對抗的中分!
12/5(六)
因為要動到骨頭的手術,加上術後復健部份,
整體費用上會比較多,一方面找尋同事幫忙、一方面也寫信與協會聯繫,協會方建議轉院處理。
12/6(日)
早上接到醫生電話,在陳醫生的細心照顧下貓咪狀況比較穩定些了!
紅血球數量有上升,也沒有再繼續吐血,外露的傷口也沒有感染有流膿出來,已經可以準備動手術了。
而協會方也幫忙接洽了沐恩醫院可以幫忙接手,
決定禮拜一上班日再幫貓咪轉院。
12/7(一)
從五信醫院接出轉院至沐恩醫院,
沐恩陳醫生評估貓咪整體狀況比一開始好非常多,可以先動下顎的手術,讓中分可以先進食攝取熱量。
中分是一隻在下班時段突然闖進門市的浪貓,
嘴角帶著血跑進來讓大家都嚇壞了,
在捕捉時中分也很恐懼的想逃走,
用雙手努力撐起身體、托著雙腿一跛一跛地逃向角落,眼睛瞪大的一直望向這邊哈氣。
我們不知道中分在車水馬龍的大街上發生了什麼可怕的遭遇,但看到即使渾身是傷還是想努力生存下去的牠,我們非常想要幫助牠!
希望大家一起幫助中分!
後續在沐恩的手術我們將繼續探望,並更新新的專案!
衷心感謝幫忙的各位,
也感謝幫忙牠的兩位陳醫生及協會幫忙接洽的甘小姐!











