贊助協會救治街貓帳戶--
外幣贊助匯款指示書>>
(北市社會字第3300號)
玉山銀行 中崙分行(代碼808)
0912940006763
戶名:社團法人臺北市支持流浪貓絕育計劃協會
收據可抵稅請將地址mail至cashier@tnrtw.org0912940006763
戶名:社團法人臺北市支持流浪貓絕育計劃協會
外幣贊助匯款指示書>>
(北市社會字第3300號)
已完成醫助款案例 |
|
- 編號: 6909
-
主題: 側腹產生疝氣腫瘤的乖妹 申請者姓名: 臺北市支持流浪貓絕育計劃協會 花色: 申請日期: 2016-02-17 17:03:24 申請者部落格: 申請者臉書網址: 所在縣市/合作醫院: 台北市/其他院所醫助專案(醫院請先MAIL溝通) 治療費用: 10719元 需求人數: 25人 已結案 (2024-06-01 13:40:26) 報名人員: Qness Chen(已付款)、薇薇安 x2(已付款)、Usagi(已付款)、科二 x2(已付款)、小羊 x2(已付款)、viv x6(已付款)、cherry x2(已付款)、Lin Eve(已付款)、Patty Ho x2(已付款)、Bonnie Lee(已付款)、jerr(已付款)、Jocelyn Chang(已付款)、Eric Chien(已付款)、Cecilia Hsu x2(已付款)、 候補人員: 動物病情說明: 乖妹從前是網友救援的貓咪,
因車禍重傷導致兩條後腿嚴重骨折,
雖然經過手術後仍無法正常行走,
形成後半身癱瘓的狀態...
但乖妹並沒有因此而出現任何的負面情緒,
反而十分的親近人類。
天生樂觀開朗的乖妹雖然行動不便,
只能前腳拖著後腳慢慢前行,
不過基本的排便排尿都不構成問題,
只要舖幾張尿片在地上,
淑女的乖妹就會在正確的地方如廁。
1/20看診
乖妹在2015年10月的時候,
因蜂窩性組織炎而在側腹部做了腫瘤切除手術。
但最近突然發現乖妹之前動手術的地方出現腫大的情形,
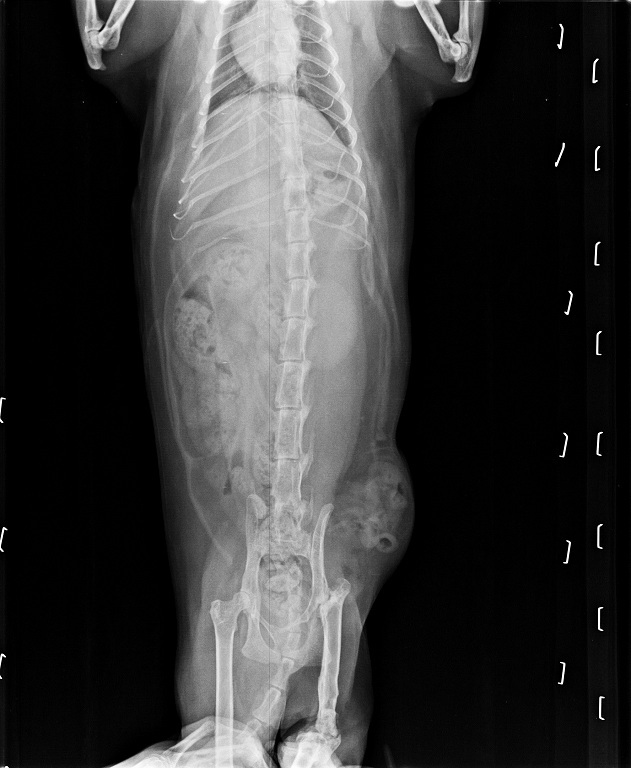
因此醫生幫乖妹做了超音波檢查和照X光,
除了在超音波檢查時,
發現乖妹有膀胱稍微發炎、尿結晶的情況,
而在看過X光照片之後,
醫生認為乖妹側腹部腫大的原因為疝氣,
故醫生排定在1/27做修補手術,
並且手術前先安排住院數日。
乖妹在疝氣修補手術完成之後,
恢復情況良好穩定,
雖然乖妹為了手術需要開的引流管有點出血的情況,
不過在照護員每天擦優碘之後傷口就痊癒了。
手術的縫線在兩週後2/11就回醫院拆掉縫線,
這才讓照護員們都鬆了一口氣。
可愛的乖妹需要您幫幫她的手術費用,
非常謝謝您!








