贊助協會救治街貓帳戶--
外幣贊助匯款指示書>>
(北市社會字第3300號)
玉山銀行 中崙分行(代碼808)
0912940006763
戶名:社團法人臺北市支持流浪貓絕育計劃協會
收據可抵稅請將地址mail至cashier@tnrtw.org0912940006763
戶名:社團法人臺北市支持流浪貓絕育計劃協會
外幣贊助匯款指示書>>
(北市社會字第3300號)
已完成醫助款案例 |
|
- 編號: 6974
-
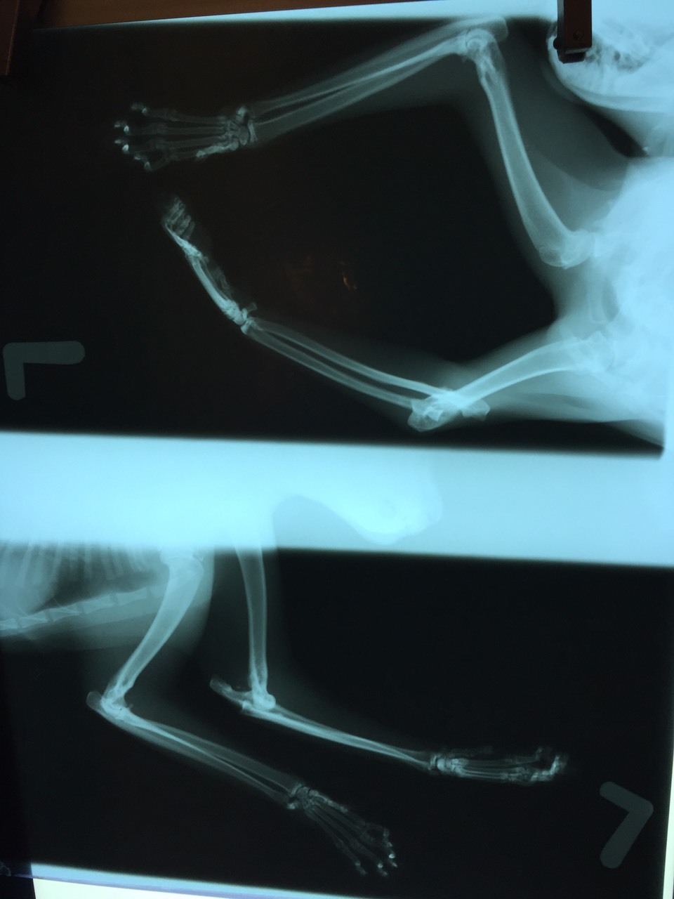
主題: 左前腳嚴重脫臼導致腳掌萎縮變形 申請者姓名: 蔡秀如 花色: 申請日期: 2016-04-07 14:57:27 申請者部落格: 申請者臉書網址: 所在縣市/合作醫院: 台北市/長沁動物醫院 治療費用: 24240元 需求人數: 27人 已結案 (2024-06-01 13:39:19) 報名人員: Jack Wei x3(已付款)、Eric Chien(已付款)、王琇盈(已付款)、Ikkuka(已付款)、薔薔(已付款)、karenla(已付款)、Joe liu x2(已付款)、Nix Lin(已付款)、Maggie Chen(已付款)、poppy(已付款)、KARMA COFFEE(已付款)、圓滾滾的魚尾(已付款)、Anita Lu(已付款)、Mibo Wang、shirley yang(已付款)、薇薇安(已付款)、薇薇安、SihKi Lin(已付款)、陳吉寶(已付款)、柯凱茹(已付款)、Man Tou Park(已付款)、Sky Lin(已付款)、Emily Yen(已付款)、Irene Hu(已付款)、張禾空間設計工作室(已付款)、Sarah(已付款)、 候補人員: 動物病情說明: 二週多前 (2/18) 下班回家經過巷口看到原本常在我家對面二樓屋簷散步的喵咪左前腳受傷了, 由於喵咪腳都是縮著, 連餵食的時候也是, 當時不知道到底有多嚴重,很擔心會感染, 2/23寫 EMAIL 向 TNR 協會尋求協助, 協會立刻請了我家附近的志工蔡小姐跟我聯繫,也於 2/25 晚上順利誘捕後於 2/26晚上在蔡小姐幫忙下將喵咪送到長沁動物醫院救治,醫生照了 X 光說情況很嚴重, 腳傷應該有一段時間了, 已經有長了一些結蒂組織, 我不希望喵咪截肢,請張醫生儘量幫忙將喵咪的腳接回去, 張醫師花了近 4 小時幫海鮮動手術, 很感謝張醫師跟志工蔡小姐 動物近況說明: 海鮮已於 4/2 下午出院了, 目前先帶到我媽家觀察左前腳開刀復原情況








