贊助協會救治街貓帳戶--
外幣贊助匯款指示書>>
(北市社會字第3300號)
玉山銀行 中崙分行(代碼808)
0912940006763
戶名:社團法人臺北市支持流浪貓絕育計劃協會
收據可抵稅請將地址mail至cashier@tnrtw.org0912940006763
戶名:社團法人臺北市支持流浪貓絕育計劃協會
外幣贊助匯款指示書>>
(北市社會字第3300號)
已完成醫助款案例 |
|
- 編號: 7271
-
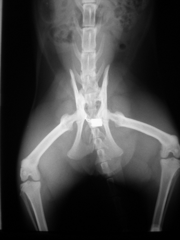
主題: 因排便困難而做半邊骨盆移除手術與術後回診的艾咪 申請者姓名: 臺北市支持流浪貓絕育計劃協會 花色: 申請日期: 2016-09-16 18:11:37 申請者部落格: 申請者臉書網址: 所在縣市/合作醫院: 台北市/其他院所醫助專案(醫院請先MAIL溝通) 治療費用: 66200元 需求人數: 69人 已結案 (2022-05-13 15:22:04) 報名人員: 艾妮(已付款)、tigercat(已付款)、Honey(已付款)、Cian Huei Yang(已付款)、劉宗鑫 x3(已付款)、蔡翔恬 x2(已付款)、Ting(已付款)、Lingying Jennifer Chou(已付款)、李坤財(已付款)、廖乙霖、Michelle Kuan(已付款)、Mandy Chen(已付款)、Tzu Ning Kuo(已付款)、Juphy Chiang(已付款)、Ying-chen Chiu x2(已付款)、Juen-Nien Lin x2(已付款)、Chia-chun Hsieh(已付款)、楊閔華(已付款)、leelpr(已付款)、Kristy Lee(已付款)、Nomar(已付款)、bootscat(已付款)、Ginger x2、Kira Chang(已付款)、Amily Hung(已付款)、大里阿維(已付款)、Love4animals、Ruth Wang(已付款)、Amberger(已付款)、王香香(已付款)、Q咩(已付款)、Ginger x2(已付款)、Peggy Wu x2(已付款)、郭庭甄(已付款)、櫻花妹(已付款)、Ginger、Cloud Lee、Cloud Lee(已付款)、Jessy(已付款)、YH秀(已付款)、比比(已付款)、香香(已付款)、Moni(已付款)、Kim Lin(已付款)、薇薇安(已付款)、我愛摺耳貓(已付款)、Hazel Wang(已付款)、billcat(已付款)、Selene Tsai(已付款)、aqwed(已付款)、emmahsu(已付款)、fang7880(已付款)、阿敏(已付款)、楊育昇(已付款)、Rona Chen(已付款)、Mia Chao(已付款)、Monica Wang(已付款)、ERic YU(已付款)、Qness Chen(已付款)、888(已付款)、Anita(已付款)、Bella Hung(已付款)、小虎的媽(已付款)、鄭閔文(已付款)、vivian(已付款)、julie lee(已付款)、鄭筠巧(已付款)、 候補人員: 動物病情說明: 艾咪很小的時候就在街上流浪,
但不幸遭遇車禍事故導致骨盆左右腸骨骨折,
使得骨盆下方的最狹窄處只有4mm,
雖然在經過醫生手術後將其拓寬為8mm。
但因為貓咪正常排便需要10mm以上的骨盆寬度,
所以8mm的寬度使得艾咪有排便不順便秘的情況,
經常出現3~4天以上沒排便的情況,
後來只能每天早晚餵食杜化液(軟便劑)輔助排便,
否則大便硬化越累積越多的時候,
只能帶艾咪到醫院請醫生幫忙將大便挖出來....
而在今年5月時,
醫生評估小艾咪已經可以再次進行大手術,
原本醫生覺得要讓艾咪排便順暢的話,
為了移除半邊骨盆可能同時也需要截掉該邊的後腳....
不過後來醫生認為也許可在不截肢的情況下順利移除半邊的骨盆,
並且醫生也希望如可以不截肢就盡量避免截肢這個選擇,
真的非常感謝醫生的愛心與同理心,
同時也佩服醫生的高明醫術!
5/26術前回診
艾咪兩天後要進行骨盆移除手術,
因此先至醫院做詳細的檢查,
血檢和拍X光照片都沒有什麼問題,
醫生確定是適合做手術的狀態,
需要在手術12小時前禁食。
5/28進行半邊骨盆移除手術,
當天手術時間約4-5小時結束,
並且轉往其他醫院住院觀察。
6/2術後回診
艾咪目前已出院回到協會,
但自從手術結束後到這天為止都還沒大過便,
在拍X光照後發現肚子裡約有一天份量的軟便。
醫生說因為艾咪剛動完骨盆移除手術,
後半身虛弱無力還不太能使上力大便,
因此杜化液(軟便劑)還是要繼續輔助使用,
之後再依照大便軟硬程度做調整,
如兩天後還是沒大便則需要通知醫生。
7/18回診
艾咪已經連續5天沒排便,
因此帶至醫院請醫生幫忙浣腸。
浣腸結束後,
醫生說因為艾咪已經服用太久的軟便劑,
腸道機能運作不佳,
除了目前還是需要每天早晚餵5cc杜化液,
也要餵化毛膏約1.5cm長,
並且可多用逗貓棒讓艾咪多活動一些。
醫生希望艾咪可以每日都有排便,
如一天沒有排便或是大拉肚子就需要讓醫生知道情況。
醫生說因艾咪杜化液服用的日子太長,
腸胃自主蠕動的強度變弱,
因此開的腸胃蠕動藥錠中含有神經刺激的成份、早晚1/2顆,
可喚醒腸胃的蠕動能力。
除了大便狀況需特別注意之外,
照護員對於艾咪的吃飯、喝水、排尿等狀況都會多觀察留意,
避免再發生太多天沒排便便秘的情況。
希望您能幫幫艾咪的半邊骨盆移除手術費用,
衷心感謝您!







