贊助協會救治街貓帳戶--
外幣贊助匯款指示書>>
(北市社會字第3300號)
玉山銀行 中崙分行(代碼808)
0912940006763
戶名:社團法人臺北市支持流浪貓絕育計劃協會
收據可抵稅請將地址mail至cashier@tnrtw.org0912940006763
戶名:社團法人臺北市支持流浪貓絕育計劃協會
外幣贊助匯款指示書>>
(北市社會字第3300號)
已完成醫助款案例 |
|
- 編號: 7497
-
主題: 眼睛紅腫毛髮糾結、後腿顫抖的尼可拉斯 申請者姓名: 臺北市支持流浪貓絕育計劃協會 花色: 申請日期: 2017-02-11 15:11:55 申請者部落格: 申請者臉書網址: 所在縣市/合作醫院: 台北市/其他院所醫助專案(醫院請先MAIL溝通) 治療費用: 9945元 需求人數: 23人 已結案 (2022-05-13 15:15:39) 報名人員: Kukutyng Yuh x2(已付款)、王小盈(已付款)、Julian Liu(已付款)、薇薇安(已付款)、Naommi(已付款)、Domino Lee(已付款)、Nunu x2(已付款)、嘟嘟白白(已付款)、Angus Chuang(已付款)、children(已付款)、Mandy Chen(已付款)、Emily Chiu(已付款)、Timmy Wang x2(已付款)、小莫(已付款)、Forest(已付款)、Isa喵(已付款)、洪凱威 x4(已付款)、 候補人員: 動物病情說明: 尼董,是我們心中的精神領袖,
是大家最愛的貓咪,
雖然他極度不親人...
在貓房,幾乎每位工作人員都被尼董打過,
所以大家對他又敬又畏,
非不得已不敢隨便驚嚇他。
尼董是5年前志工通報與誘捕傷貓,
脖子上套著橡皮筋超過一年,
經過多月捕抓、才抓到脖子長滿蛆的尼可拉斯。
脖子只剩下骨頭支撐,住院超過半年,
傷口才痊癒。
或許是渾身惡臭、傷勢嚴重、個性兇猛,
在原生地被四處驅趕的尼董,
迄今仍對人類高度不信任。
平日若無特別狀況,
工作人員都有默契不特別驚嚇他,
過年期間,
除了原本神經方面問題外、
可能因假期多由陌生志工投入照顧工作,
讓天性緊張的尼董出現淚眼狀況,
甚至紅腫...
於是安排就醫,因捕抓不易,
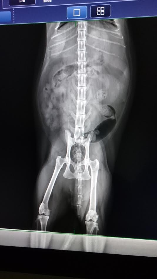
就替董事長做全套詳細檢查。
包括--照x光、看牙齒、全套血檢、照超音波、進行神經問題評估等。
106.02.02
澄諾回診 尼董 / 尼可拉斯
體重7.03Kg
尼董今日做全套血檢
照x光、超音波
輕麻,晚上6點40分先給水、7點給食物
血檢無異常,
球蛋白GLOB較高,在愛滋貓、熟齡貓身上是正常反應。
淚眼有些感冒,可能是壓力引起--
1.點眼藥--醫生已默默把眼藥水拿走了...
2.早晚藥各一顆,請搭配魚條整顆丟或是用騙藥的中間有個洞的零食騙。
3.早中碗罐頭、飼料務必放離安酸粉。
醫師同時問近日有新貓?或任何改變讓他變緊張?
應該是過年有較多不熟識志工或工作人員進出,
讓他太緊張。
所以即日起,
非工作人員如無必要,
不要太常進出與坐著聊天等。
其他需注意事項--
1.腳抖抖也可能是神經症狀,保養品仍再給。
2.胰臟形狀怪怪的,但胰臟炎檢驗正常,請大家再多觀察是否有嘔吐、變瘦情況,請立即回報,需安排就醫檢查。動物近況說明: 關於神經方面問題,答問紀錄如下---
1. 請問發現這個神經症狀多久了? 約1年半以前注意到
2. 在這段時間之內,這樣的神經症狀是越來越明顯密集,或是差不多頻率與強度?有一陣子有好一點,最近三個月又開始,只要走一走、停下來的時候,才會抖抖。
3. 在發現這個神經症狀之前,有任何生活的改變?例如飲食?居住?沒有,發生後半年有搬家
4. 這種神經症狀,主要是在站立的時候發生嗎?是的
或是休息放鬆側躺的時候,也會看到後腳不自主的運動?不會
睡覺的時候呢?不會
5. 這種神經症狀發生的時候,尼董是否剛好處於情緒比較激動(放飯) 或是任何時候只要站立都會觀察的到,沒有特殊事件可以引發? 不是,可能是走來走去,停下來時才會抖一抖
6. 除了後腳之外,尼董是否有其他的改變,例如活動能力降低,精神差,或是有其他地方也看到不自主的運動?不會,其他都還好
7. 和尼董一起生活的貓咪最近狀況都好嗎? 差不多,有幾隻陸續往生...
有生病的狀況嗎?這間是愛滋房,沒一隻貓是健康的...
由於尼董比較困難進行神經學檢查,所以我們可能要倚賴更多的影片來判斷尼董的問題,如果可以,請多提供幾段不同狀況下觀察到的影片,好的。
非常感謝您的協助,希望可以更了解尼董的狀況,讓我們有機會了解他的問題。











