贊助協會救治街貓帳戶--
外幣贊助匯款指示書>>
(北市社會字第3300號)
玉山銀行 中崙分行(代碼808)
0912940006763
戶名:社團法人臺北市支持流浪貓絕育計劃協會
收據可抵稅請將地址mail至cashier@tnrtw.org0912940006763
戶名:社團法人臺北市支持流浪貓絕育計劃協會
外幣贊助匯款指示書>>
(北市社會字第3300號)
已完成醫助款案例 |
|
- 編號: 7953
-
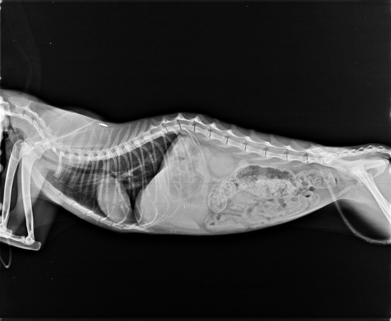
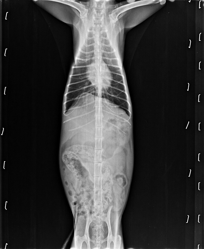
主題: 因脫水耗弱、口腔嚴重發炎,且有鼻膿分泌物的盈盈 申請者姓名: 臺北市支持流浪貓絕育計劃協會 花色: 申請日期: 2017-11-01 12:19:19 申請者部落格: 申請者臉書網址: 所在縣市/合作醫院: 台北市/極光動物醫院 治療費用: 22599元 需求人數: 50人 已結案 (2024-06-01 13:20:53) 報名人員: Nina Chiu(已付款)、Mimi Liu x2(已付款)、Nicole Chen x2(已付款)、yuling(已付款)、Wanting(已付款)、Naommi x2、姿馬麻、Noel6731(已付款)、Amanda Ke(已付款)、阿奇拉 x2(已付款)、Helen Yu(已付款)、張香香、Me I Me I liao x2(已付款)、貓兩拳(已付款)、陳金鳳 x2(已付款)、wgs(已付款)、Arthur Nana(已付款)、Stiff(已付款)、May x4(已付款)、林嘉南(已付款)、Naommi x2(已付款)、Sophia Kuo(已付款)、JUN x2(已付款)、接小力 x2(已付款)、devin(已付款)、陳亮尋 x5(已付款)、塔羅小蘋與客人們(已付款)、小橘子(已付款)、瀅瀅(已付款)、Wi Chen(已付款)、Fatefaye Wu(已付款)、小珍 x2(已付款)、白婷 x2(已付款)、Guan-Yi Li(已付款)、洪凱威 x2(已付款)、 候補人員: 動物病情說明: 8/16~8/30盈盈住院
盈盈因食慾不佳及上呼吸道膿樣分泌物,
於106年8月16日就診。
經醫師檢查發現,盈盈可能歷經全口拔牙,口腔呈現嚴重發炎,並有多數傷口癒合不良之情形
而血液檢查有肝指數上升與貧血之症狀。
合併上呼吸道感染等多數原因,
推斷是造成盈盈無法自行進食、脫水與身體耗弱等之情況。除給予必要點滴維持、抗生素治療與灌食照顧外,
也須同時配合持續性密切的生理數值監測,
因此建議繼續在醫院治療直至穩定出院為止。
動物近況說明: 原先以全口拔為拔乾淨導致持續發炎的盈盈
已經再次接受清除殘留齒根的手術
目前狀況良好









