贊助協會救治街貓帳戶--
外幣贊助匯款指示書>>
(北市社會字第3300號)
玉山銀行 中崙分行(代碼808)
0912940006763
戶名:社團法人臺北市支持流浪貓絕育計劃協會
收據可抵稅請將地址mail至cashier@tnrtw.org0912940006763
戶名:社團法人臺北市支持流浪貓絕育計劃協會
外幣贊助匯款指示書>>
(北市社會字第3300號)
已完成醫助款案例 |
|
- 編號: 7984
-
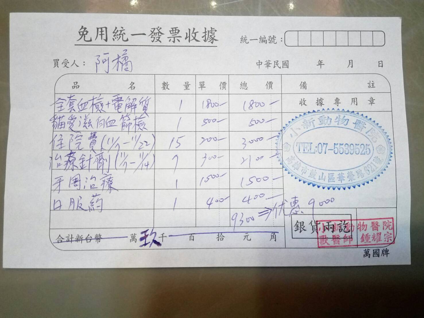
主題: [高雄]左臉腫大的消瘦小橘 申請者姓名: 顧秀雲 花色: 申請日期: 2017-11-24 23:29:37 申請者部落格: 申請者臉書網址: 所在縣市/合作醫院: 高雄市/小新動物醫院 治療費用: 8000元 需求人數: 18人 已結案 (2024-06-01 13:20:07) 報名人員: wgs(已付款)、lunyi x2(已付款)、Fidji Chen(已付款)、張草莓(已付款)、May x4(已付款)、糖妞(已付款)、tigercat x2(已付款)、豬妞妞(已付款)、張雅雯(已付款)、胡韶心(已付款)、Patricia Lin(已付款)、lin789 x2(已付款)、 候補人員: 動物病情說明: 小橘年紀約6~7歲,是秀雲姐從前自費做節育的浪貓,只是沒辦法放回原地,所以術後只好帶回喵喵茶附近野放,從此就固定到喵喵茶等放飯。
這陣子小橘的食慾不佳,秀雲姐有試著將從醫院拿回來的口炎藥拌在罐頭給小橘吃,但效果不是很好...從11月初開始小橘連續5天都吃不太下,秀雲姐沒有辦法只好帶著小橘到小新動物醫看診。
經由鍾醫師診斷發現:小橘因為厭食的關係,嚴重脫水,左側嘴唇腫大,牙齦黏膜潰爛,血檢球蛋白偏高,有發炎的狀況,貓愛滋篩檢陽性。
首先給點滴輸液補充脫水,體力恢復後,牙周再做洗牙及清理潰爛傷口。
住院期間,小橘因為身體虛弱的關係,一直沒有食慾無法自行進食,於是一直在醫院補充點滴輸液,直到11/22才出院。動物近況說明: 小橘目前回到喵喵茶休養,因為身體虛弱的他已經不適合野放,秀雲姐雖然貓口眾多己經無力負擔,但還是決定讓小橘留在喵喵茶!!
在此要拜託各位朋友幫忙贊助小橘的醫藥費用,減輕秀雲姐的負擔,謝謝大家也謝謝協會的幫忙!!!









